3,434件公開中!
2026.4.21更新
会員ログイン
※複数選択できます。Windows:[Ctrl]+クリック/Mac:[Command]+クリック
※サービスルーム(S)は、全ての検索条件に含まれます。
検索条件をクリアする
無料・カンタン3分で登録会員限定物件を見る
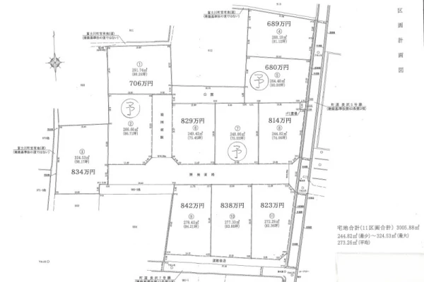
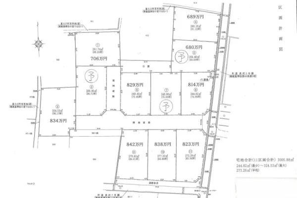
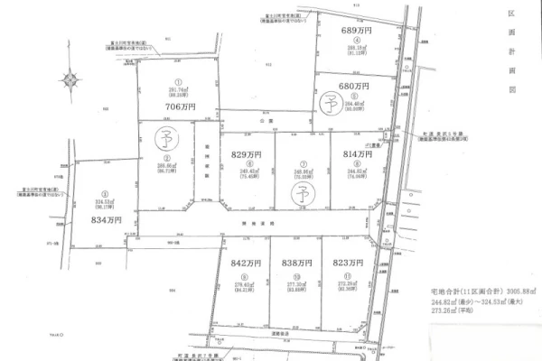
※地図上の「対象地」は実際の場所ではない場合があります。詳しくはお問い合わせください。
担当店舗: ハウスドゥ甲府昭和通り 登録日:2026/4/6
担当店舗: ハウスドゥ甲府昭和通り 登録日:2026/3/21
この物件をご覧頂くには、会員登録(無料)が必要です。
担当店舗: ハウスドゥ甲府昭和通り 登録日:2025/11/21
ホームページ上で公開されていない、店舗でのみ閲覧できる物件があります!!
来店限定物件13件大公開!
来店予約はこちら
担当店舗: ハウスドゥ甲斐篠原 登録日:2025/11/21